35 000 000 Р 431 400 $ или 368 000

Информация об помещении

1
Этаж

Состояние и оснащение

Количество этажей
1
Развернуть
Агент
+7 (988) 560-81-99
Начать чат с агентом

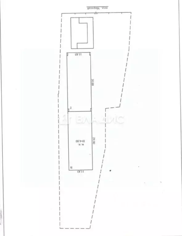
Склад в Ростовская область, Азовский район, с. Самарское пер. Жданова ...

Продается железнодорожный тупик (фасовочное производство) без комиссии для покупателя Предлагаем вашему вниманию уникальную возможность приобрести железнодорожный тупик общей площадью 1 га в собственности. Основные характеристики:• Ж/д ветка + стрелка в собственности, земля под ж/д тупиком также в собственности.• Длина ж/д тупика — 283 м, вмещает до 9 вагонов.• Проведена реконструкция от ж/д станции до стрелки (2 км) в 2017 году.• Реконструкция ж/д тупика завершена в 2016 году. Тупик введен в эксплуатацию.Инфраструктура:• Новый крытый склад (ангар) площадью 420 м (ширина 14 м, длина 30 м, высота 9,5 м) с выгрузочным комплексом и приемом ссыпной ванной из нержавеющей стали.• Линия по фасовке сыпучих материалов мощностью 80 тонн в час (фасовка от 5 кг до 1 тонны), подготовленная для расфасовки минеральных удобрений. Все оборудование новое и полностью готово к запуску, линия формовки настроена и откалибрована.Дополнительные удобства:• Огороженная и освещенная территория, отсыпанная асфальтной крошкой.• Имеются весовая, гараж, сторожка, офисное помещение, скважина, трансформатор 100 КВА, электрическая линия с возможностью увеличения мощности до 1000 кВт, пожарный резервуар.• В 3 метрах от территории находится газовая линия среднего давления с возможностью подключения.Транспортная доступность:• Удобная транспортная развязка: расстояние до трассы М-4 — всего 4 км нового асфальтового покрытия.• Выезд на Азов: расстояние до порта Азов — 40 км, порт Ростов — 40 км.Не упустите возможность стать владельцем этого перспективного объекта Для получения дополнительной информации и организации просмотра, пожалуйста, свяжитесь с нами. Дополнительно оплачивается комиссия с покупателя.Код пользователя: 177371Номер в базе: 2363650

Читать полностью
    Позвонить Написать
    35 000 000 Р431 400 $ или 368 000
    Агент
    +7 (988) 560-81-99
    Начать чат с агентом
    Похожие предложения
    Склад в Ростовская область, Багаевский район, Елкинское с/пос, ... - Фото 1
    Склад в Ростовская область, Багаевский район, Елкинское с/пос, ... - Фото 2
    Код объекта: 1916822.СКЛАДСКИЕ ПОМЕЩЕНИЯ + БОЛЬШОЙ УГЛОВОЙ УЧАСТОК 29 СОТОК Готовый арендный бизнесЛОКАЦИЯ:Ростовская область, Багаевский район, х.Верхнеянченков, пер.Мирный, 30;Участок угловой — объект отлично виден с двух направлений;• Фасад на трассу:...
    • 1/1 эт.
    36 000 000 Р
    Агент
    +7 (989) Показать номер
    Посмотреть контакты
    Склад в Ростовская область, Аксайский район, Щепкинское с/пос, пос. ... - Фото 1
    Склад в Ростовская область, Аксайский район, Щепкинское с/пос, пос. ... - Фото 2
    Продается новый склад площадью 500 кв. м с земельным участком 25, 5 соток по адресу Ростовская область, Аксайский район, посёлок Щепкин, Щепкинское сельское поселение, Крестьянская улица, 38Характеристики и преимущества:Складское помещение абсолютно новое,...
    • 1/1 эт.
    35 000 000 Р
    Агент
    +7 (988) Показать номер
    Посмотреть контакты
    Склад в Свердловская область, Березовский Микрорайон Овощное ... - Фото 1
    Склад в Свердловская область, Березовский Микрорайон Овощное ... - Фото 2
    ПРОДАМ новый склад СКЛАД г. Берёзовский . Отличная локация в эпицентре деловой зоны . Дорога по асфальту, можно заезжать с трех сторон. Асфальт проложен до ворот на территорию склада.Транспортная инфраструктура очень удобная, рядом ЕКАДВысота потолков...
    • 1/1 эт.
    34 900 000 Р
    Агент
    +7 (982) Показать номер
    Посмотреть контакты
    Склад в Владимирская область, Меленки Пролетарский пер., 37Б (3681 м) - Фото 1
    Склад в Владимирская область, Меленки Пролетарский пер., 37Б (3681 м) - Фото 2
    В продаже оптовая база площадью 3 680 кв.м. на земельном участке 107 соток в г. Меленки, на Пролетарском переулке д.37Б.Капитальное кирпичное здание 1973 г постройки.Офисное двух этажное кирпичное здание с планировками кабинетного типа - 614 кв.м.Складские...
    • 1/2 эт.
    34 000 000 Р
    Агент
    +7 (910) Показать номер
    Посмотреть контакты
    Склад в Санкт-Петербург, Санкт-Петербург, Колпино Саперный пер., 19 ... - Фото 1
    Склад в Санкт-Петербург, Санкт-Петербург, Колпино Саперный пер., 19 ... - Фото 2
    С торгов по банкротству ( этап публичное предложение) продается Склад, назначение: нежилое, этажей: 2 (в том числе подземных подвал) кадастровый номер: 78:37:0000000:3146 площадью 1371,7 кв.м.; занимаемый нежилым зданием земельный участок площадью 1652...
    • 1/2 эт.
    34 897 500 Р
    Агент
    +7 (981) Показать номер
    Посмотреть контакты

    Не нашли подходящего объявления?

    Оставьте заявку, и наши риэлторы подберут склад в районе Самарского

    (0)